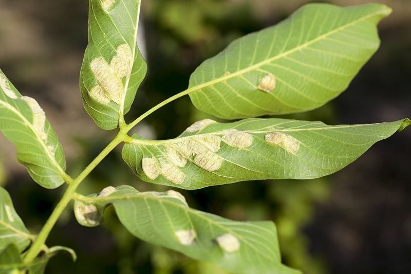
معرفی مهمترین بیماری های برگی درختان
ادامه مطلب: معرفی مهمترین بیماری های برگی درختان
- کلیک ها: 87
ادامه مطلب: معرفی مهمترین بیماری های برگی درختان
ادامه مطلب: کود نیترات کلسیم چیست و چگونه باعث رشد بهتر گیاهان میشود؟
ادامه مطلب: کود کلسیم برای گوجه فرنگی و تاثیر آن بر روی محصولات زراعی
ادامه مطلب: کود اوره فسفات چیست؟ آنالیز اوره فسفات، مزایا، معایب و بهترین روش استفاده
ادامه مطلب: چرا پسته پوک میشود؟ راهکارهای علمی برای جلوگیری از پوکی پسته و پر کردن مغز پسته
ادامه مطلب: کود مایع یا پودری؛ کدام مناسب محلول پاشی کلسیم درختان میوه است؟
ادامه مطلب: کود سه بیست (20_20_20) چیست و چه مزایایی برای باغات دارد؟
ادامه مطلب: کرم گلوگاه انار چیست و چرا مبارزه شیمیایی با آن اغلب شکست میخورد؟ راهکارهای مؤثر کنترل
ادامه مطلب: کود هیومیک اسید مایع؛ راهنمای استفاده از کود هیومیک برای باغداران
ادامه مطلب: کود گوگرد مایع؛ راهکاری برای بهبود خاک های قلیایی
ادامه مطلب: کود جلبک دریایی چیست و کود عصاره جلبک چگونه باعث افزایش رشد و مقاومت گیاهان می شود؟
ادامه مطلب: هرس زمستانه یا هرس تابستانه؟ راهنمای مدیریت انرژی درختان برای حداکثر باردهی